Factory / Warehouse - RJP1F0027

|
Property - Overview
|
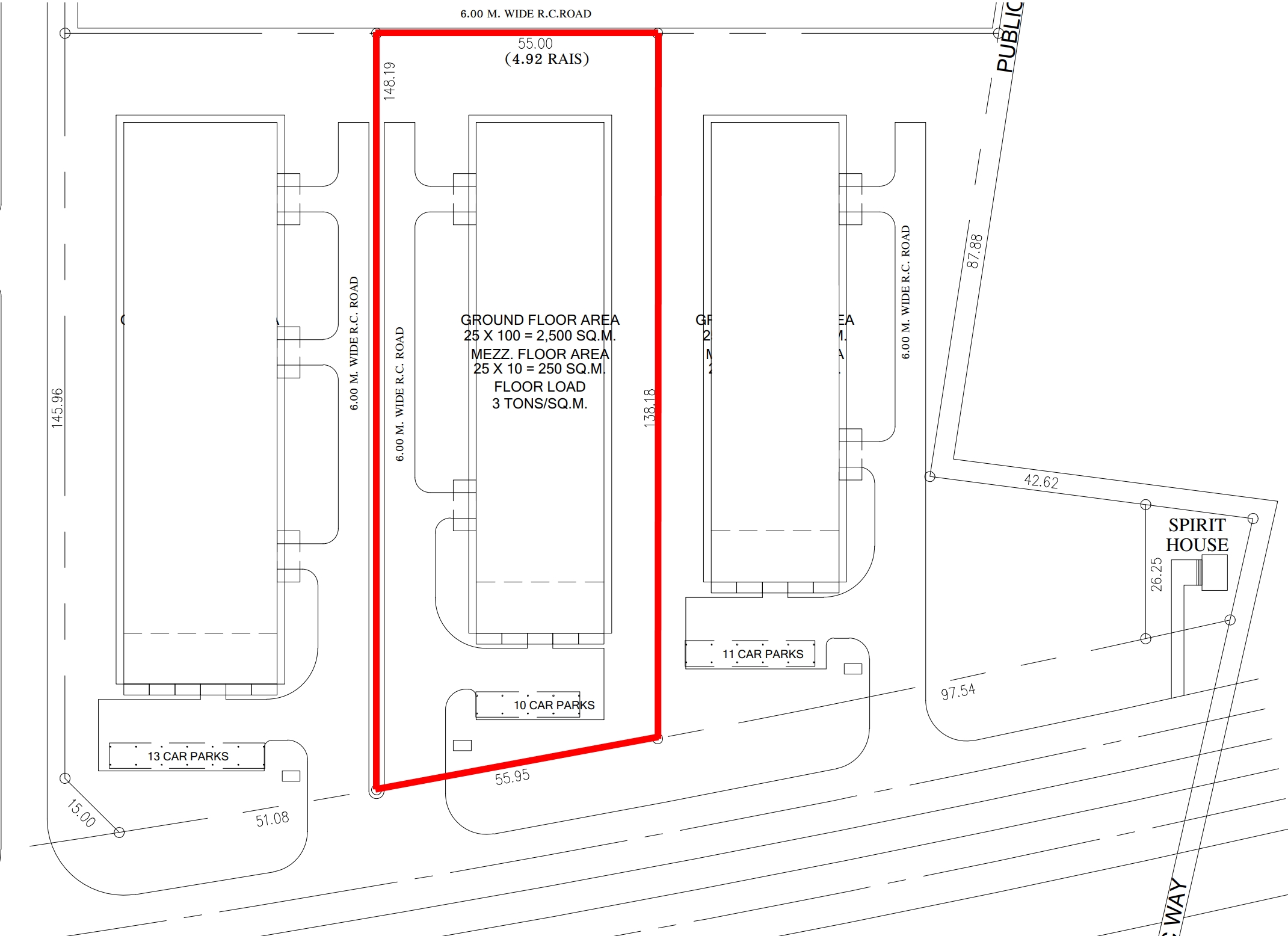
Total Building Area
2,750 ㎡Approximate size. Factory / Warehouse Area : 2,500 ㎡
Office Area : 250 ㎡ Building Type : Detach Land Area
4.92 Rai (7,872 ㎡)
Zone Type General Zone
|
Rental
495,000 Baht / Month(Approx. 15,345 USD / Month) Approximate rental rate. Price per ㎡ : 180 Baht / ㎡ / Month (Approx. 6 USD / ㎡ / Month) • May have monthly expenses more than just monthly rent. See information below or ask before make any decision.
Price
82,500,000 Baht(Approx. 2,557,500 USD) Approximate price. • Total price (included taxes and fee) :
Approx. 84,686,250 Baht Available Date Available Now
|
• 1Baht = About 0.031 USD, 1USD = About 32.18 Baht (Refer to Bangkok Bank currency transfer rate on 29 Oct 2025)
• More information about additional cost and condition, please see below.
• Information, price and condition of this property provided and also reserved the rights to change without notice by the property owner. Thai-Koujyo.com can't guarantee any change of that. Buyer or lessor have to confirm the final information, price and condition with the property owner before making any contract.
• Information, price and condition of this property provided and also reserved the rights to change without notice by the property owner. Thai-Koujyo.com can't guarantee any change of that. Buyer or lessor have to confirm the final information, price and condition with the property owner before making any contract.
Secondhand |
Good Access |
Last Update || 12 Dec 2025
4K Drone Gallery
Location
Province
Prachinburi
Common Fee
Factory / Warehouse
General Zone : 1,200 Baht / Rai / Month
Land
General Zone : 1,100 Baht / Rai / Month
Rent Condition
Tax & Fee
Property Tax : Excluded (Tenant Pay)
Withholding Tax (5% / Month) : Excluded (Tenant Pay)
Withholding Tax (5% / Month) : Excluded (Tenant Pay)
• In case of rent, tenant have to pay property tax beside the common rental fee.
Minimum Contract Period
3 Year(s)
Contract Deposit
5 Month(s)
Advance Payment
1 Month(s)
Interior Condition
Free Interior Period : 30 Day(s)
Interior Deposit : Need
Interior Deposit : Need
Sale Condition
Tax & Fee
Transfer Fee (2%) : Half Pay
Special Business Tax (3.3%) : Half Pay
Withholding Tax (1%) : Seller Pay
Special Business Tax (3.3%) : Half Pay
Withholding Tax (1%) : Seller Pay
Payment Condition
- To prepare the LOI document, a 10% reservation deposit is required. Within 30-60 days, the contract signing date must be confirmed.
- On the contract signing date, the buyer must pay 20% of the sale price.
- On the ownership transfer date at the Land Department, the buyer must pay the remaining 70%.
- On the contract signing date, the buyer must pay 20% of the sale price.
- On the ownership transfer date at the Land Department, the buyer must pay the remaining 70%.
Infrastructure
Floor Loading
Max. Loading : 3 Ton(s) / sq.m.3 Unit
Clearing Height
Max. Height : 7 m.Electricity
Only electric system and lighting for basic usage. Don't have electric system, transformer, MDB for industrial usage. Require installation if needed.Water Supply
Only water supply for basic usage. Don't have water system for factory equipments. Require plumbing work and pump installation if needed.Interior Decoration
Don't have. (Require construction)Telephone System
Don't have wiring, PBX, telephone. Require installation if needed.Internet System
Don't have. Require contract ISP (internet service provider) and installation if needed.Air Condition System
Factory : Don't have. (Self install, if need)Office : Don't have. (Self install, if need)
Facilities
Security
● Shared Security (Security Gate)● Guard House
Fire Protection
● Fire Extinguisher / Fire Hose● Fire Alarm
























